Sign up to get new listings emailed daily! JOIN SIGN IN
Charity Robinson
REALTOR®
VCard Icon 
Refine Search

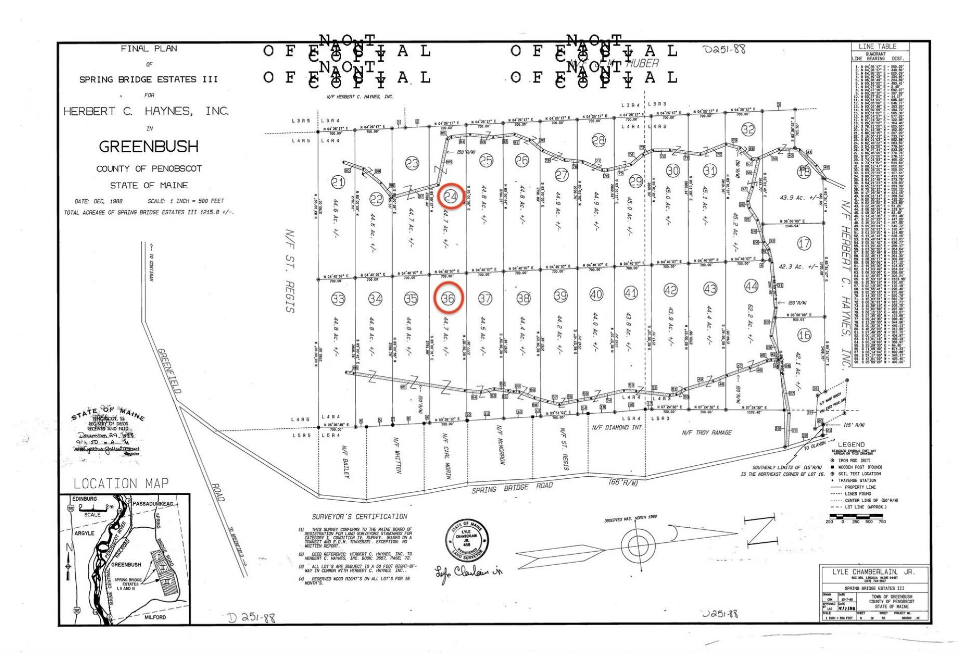
24&36 Wolf Run Trail , Greenbush, ME 04418

$99,900
  • Main Photo

21 Total Photos [Click to View All]

New to the Market Active
LOT SIZE 88.000 acres MLS#1658663
STATUSActive PROPERTY TYPELand - Residential

Property Description

88 acres of land that won't break the bank! Located in Greenbush, this double lot is ideal for the outdoor enthusiast, off-grid dreamer, or land investor. The land has been growing strong since it was last logged in 1989 and is enrolled in Maine Tree Growth keeping your taxes low. An established clearing is ready for a campsite or off-grid homesite. Wetland areas, hardwood and mixed wood, and little human impact create an ideal wildlife habitat with signs of deer and other wildlife. The surveyed lots (corner pins in place) roll gently from 170' near the back wetland up to 210' near the road. Two points of access are via shared gravel roads with no HOA -- neighbors informally split maintenance costs, and year-round residents currently handle plowing.Tax lots 24 and 36 may also be purchased individually. See MLS #s

24&36 Wolf Run Trail | MLS# 1658663

This land located at 24&36 Wolf Run Trail , Greenbush, ME 04418 is currently listed for sale with an asking price of $99,900. The property has approximately 88.00 Acres. Search Greenbush real estate on charityrobinson.masiellogrouprealestate.com today.

Property Features

Property Type: Land - Residential
Lot Size: 88.00 Acres
Taxes: $364

Feature Descriptions

Electric: No Electric, Off Grid
Sewer: None
Special View Info: Trees/Woods
Water: Well Needed on Site, None
Wooded: Yes

Listed By / Shown By

Listed By

Agency Name: AFM Real Estate
Agency Phone: 207-745-5230
Agent Name: John Colannino

IDX logo

TOUR PROPERTY

Choose a date and time to see 24&36 Wolf Run Trail , Greenbush, ME 04418.
I will get in touch with you shortly.

Request a Showing
Choose your video chat app
  • Thursday April 23
  • Friday April 24
  • Saturday April 25
  • Sunday April 26
  • Monday April 27
  • Tuesday April 28
  • Wednesday April 29
  • Thursday April 30
  • Friday May 1
  • Saturday May 2
  • Sunday May 3
  • Monday May 4
  • Tuesday May 5
  • Wednesday May 6
  • Thursday May 7
  • 7:00 AM
  • 7:30 AM
  • 8:00 AM
  • 8:30 AM
  • 9:00 AM
  • 9:30 AM
  • 10:00 AM
  • 10:30 AM
  • 11:00 AM
  • 11:30 AM
  • 12:00 PM
  • 12:30 PM
  • 1:00 PM
  • 1:30 PM
  • 2:00 PM
  • 2:30 PM
  • 3:00 PM
  • 3:30 PM
  • 4:00 PM
  • 4:30 PM
  • 5:00 PM
  • 5:30 PM
  • 6:00 PM
  • 6:30 PM
  • 7:00 PM
  • 7:30 PM
  • 8:00 PM
  • 8:30 PM
  • 9:00 PM
Preferred Communication Method

Estimate Your Payment

Estimated Payment

$ 281.80 per month $222.33 Principal & Interest $30.33 Property Tax $29.14 Homeowner's Insurance

Change Payment Information

%
years/fixed
yearly
yearly (est.)
(Payments are an estimate and may vary by lender)
Disclaimer: All information deemed reliable but not guaranteed. All properties are subject to prior sale, change or withdrawal. Neither listing broker(s) or information provider(s) shall be responsible for any typographical errors, misinformation, misprints and shall be held totally harmless. Listing(s) information is provided for consumers personal, non-commercial use and may not be used for any purpose other than to identify prospective properties consumers may be interested in purchasing. Information on this site was last updated 04/22/2026. The listing information on this page last changed on 04/22/2026. The data relating to real estate for sale on this website comes in part from the Internet Data Exchange program of Delta Media Group MLS (last updated Wed 04/22/2026 12:00:01 AM EST) or MLSPIN MLS (last updated Tue 04/21/2026 11:38:24 PM EST) or Prime MLS (last updated Mon 04/20/2026 5:18:22 PM EST) or MREIS (last updated Tue 04/21/2026 11:55:21 PM EST). Real estate listings held by brokerage firms other than Better Homes and Gardens Real Estate The Masiello Group may be marked with the Internet Data Exchange logo and detailed information about those properties will include the name of the listing broker(s) when required by the MLS. All rights reserved.



Listing data is derived in whole or in part from the Maine IDX & is for consumers' personal, noncommercial use only. Dimensions are approximate and not guaranteed. All data should be independently verified.© 2026 Maine Real Estate Information System, Inc. All Rights Reserved.

Privacy Policy / DMCA Notice / ADA Accessibility

Agency License Information: Better Homes and Gardens® and the Better Homes and Gardens Real Estate Logo are registered service marks owned by Meredith Corporation and licensed to Better Homes and Gardens Real Estate LLC. The Masiello Group Limited fully supports the principles of the Fair Housing Act and the Equal Opportunity Act. Each franchise is independently owned and operated. Any services or products provided by independently owned and operated franchisees are not provided by, affiliated with or related to Better Homes and Gardens Real Estate LLC nor any of its affiliated companies.


Login to My Homefinder

Pixel